待客如友、快乐服务
是德鑫的服务精神
我们视客户为朋友,以服务客户为最大的快乐,以主动、细致、严谨、周到的服务使客户感受快乐。
晟晏简介
酒的种类
晟晏酒庄的产品能够满足所有人的口味:
精品酒包括9款葡萄酒,例如巴贝拉风干红葡萄酒和3款白 葡萄酒,经典款包括6款葡萄酒、3款白葡萄酒和一款桃红 酒,包括传统的多赛托、伯纳达、霞多丽和巴贝拉。


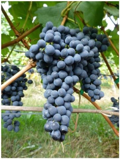
葡萄园
酒庄的葡萄园培植了各种口味的葡萄。
红葡萄:桑娇维塞、巴贝拉、格利尼奥利诺、阿巴罗莎、赤霞珠、美乐、露诗、西拉、弗雷伊萨、多赛托、伯纳达;

阿巴罗莎
白葡萄: 阿内斯、额巴鲁斯、科斯特、霞多丽。

科斯特
生产和出口
晟晏酒庄每年要采摘1500吨到2000吨的各种葡萄。葡萄采摘以后进入市场的红酒大概需要至少一年的时间。
一些产品被细分为精品酒和经典酒款。
精品酒里面的巴贝拉风干红葡萄酒,晟晏酒庄是能酿造此款酒的少数几个意大利酒庄之一,近年来已经取得了巨大的成功。晟晏酒庄的红酒在整个意大利进行销售,近年来开始寻求海外市场,现目前已经销往了法国、西班牙、德国、澳大利亚、瑞士、美国和中国。

我们的地址:
在意大利北部的Tanaro河右岸,是意大利最著名的葡萄酒种植区皮埃蒙特(Piemnonte)的所在地。这个地区又包括Langhe和Monferrat(蒙弗莱托)两部分,晟晏酒庄就位于风景秀丽的蒙弗莱托山谷。
关于我们:
我们是一个从事酿酒工作超过70年的家族酒庄。
我们的目标:
致力于不懈的酿造高品质的红酒来表达蒙弗莱托山谷这片独有的土地所给予我们的馈赠。
酒庄相册








为客户推荐最具性价比形象代言人

我们视客户为朋友,以服务客户为最大的快乐,以主动、细致、严谨、周到的服务使客户感受快乐。

我们必须不折不扣地执行公司的各种规章制度和行政命令,做到言必信、行必果、敢于负责。

德鑫经贸每一个人必须脚踏实地、关注细节、持续学习、点滴改善。
COPYRIGHT © 哈尔滨德鑫经贸 2016-2020 All Rights Reserved.黑ICP备16007744号-2 Powered by DouPHP